Nuova rivoluzione al traffico (l’ennesima) quella che attende gli automobilisti fra corso Tukory e via E. Basile. Le recenti criticità (prevedibili) che si sono manifestate sono dovute alle auto che provenendo da piazza Indipendenza e dirette verso corso Tukory, sono costrette a fare inversione di marcia al primo varco di via Basile. E proprio qui si crea una lunga colonna di auto proprio per la manovra di inversione che richiede soprattutto attenzione.
Ecco quindi le principali novità:
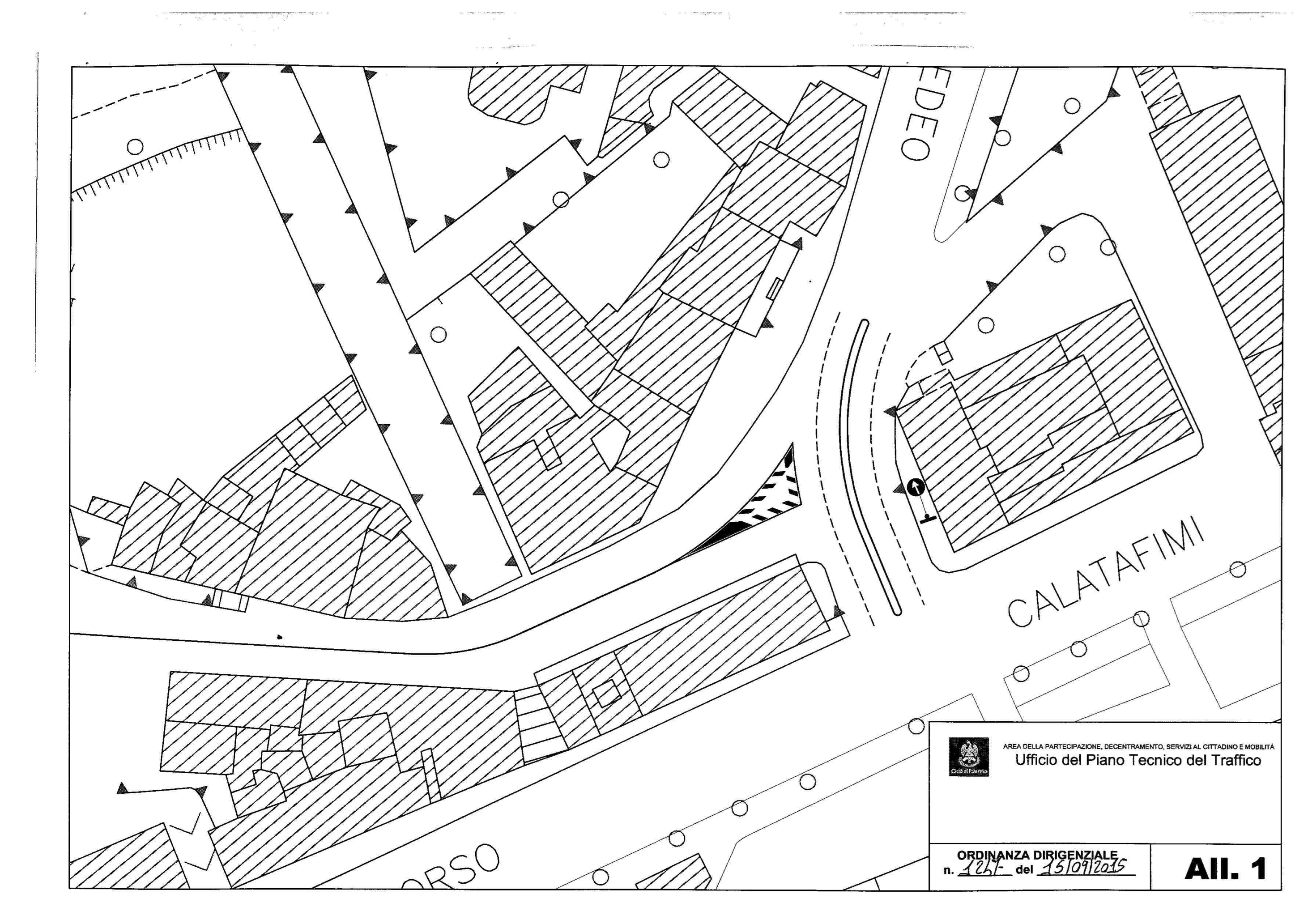
– Via Colonna Rotta tra Via Imera e Corso Alberto Amedeo torna a doppio senso
– Corso Re Ruggero nei pressi dell’istituto Maria Immacolata invertito il senso di marcia e si potrà procedere verso corso Tukory senza necessariamente fare inversione di marcia da via Basile.
– Il tratto di via E. Basile adiacente la gelateria Massaro, avrà una corsia preferenziale contromano riservata ai bus in direzione Basile. Chi dovrà raggiungere via Basile provenendo da corso Tukory, ritornerà a fare il giro da piazza Indipendenza, con il varco di collegamento di fronte la presidenza della Regione che verrà nuovamente invertito.
-Ultimo varco su Via E. Basile (lato Massaro) sarà negata l’inversione di marcia.
Nella galleria trovare anche una Mappa da noi realizzata per capire meglio la nuova viabilità sopratutto in zona, oltre alle copie ufficiali della nuova ordinanza. La soluzione a questi disagi rimane comunque la realizzazione di una rotatoria proprio all’inrocio

condivido la soluzione proposta dall’autore dell’articolo. l’unica soluzione è rimodulare strade e spartitraffici e creare una grande rotatoria tra via basile, tukoty, lodato e re ruggero.
questa soluzione a dire il vero non mi convince molto, i flussi tra c.so tukory verso via basile e da re ruggero verso c.so tukory si incrociano a 90 gradi senza semaforo, senza rotatoria.. non sono solito commentare negativamente a priori ma non mi convince molto.
quando entrerà in vigore?
a proposito di questo tratto, da una 15ina di giorni i vigili fanno 2-3 sopralluoghi al giorno in prossimità di un noto bar in via basile e di un supermercato e un bar poco più sotto in corso tukory, con relative decine di multe. fin quando sono lì e i divieti di sosta vengono rispettati la viabilità è molto più scorrevole, poco dopo la strada ridiventa un budello e ritorna il caos.
Soluzione senz’altro migliorativa. L’unico vulnus è quello già sottolineato dall’articolo e dal sig. Winston Smith, ovverosia l’incrocchio tra i veicoli provenienti da piazza Indipendenza che devono andare in corso Tukory e quelli che invece da corso Tukory salgono verso via Basile. In quel punto urge assolutamente una rotatoria oppure un semaforo oppure, in via assolutamente residuale e provvisoria, un vigile che regoli i flussi di traffico. Ormai i tempi sono maturi ( e i piccioli in qualche modo penso si possano trovare, attesa l’entità dell’opera), per realizzare una rotatoria al centro del quadrivio fra via Basile, corso Tukory, via Re Ruggero, e via Lodato.
può darsi che funzioni. apprezzo la volontà di trovare una soluzione alternativa all’attuale, e avrei voluto che non si fosse aspettato l’inizio della scuola per provare a cambiare. la soluzione adottata finora è disastrosa, e si è visto fin da subito.
di contorno a questo, mi piacerebbe se facessero passare nuovamente gli autobus (sia di linea che turistici) da porta nuova, perchè l’attuale percorso da via cadorna è un calvario
aggiungo che si dovrebbe pensare a una risistemazione di piazza stazzone, rimodellando i marciapiedi e magari eliminando le due pompe di benzina
Ma a partire da quando? Già tutto attivo?
Ma proveniendo da via Ernesto Basile e volendo raggiungere piazza Indipendenza, che traggito si deve fare??
Inversione al varco prima della rotonda di corso Tukory (ma anche alla totonda) e corsia di valle di Re Ruggero
Il terzo capoverso delle novità è errato: chi proviene da corso Tukory non potrà tirare dritto per la corsia davanti Massaro, lato Istituto di suore, che rimane nello stesso verso di percorrenza di adesso. Qui ci sarà una corsia preferenziale contromano per consentire SOLO AI BUS di tirare dritto, i veicoli dovranno fare il giro da piazza indipendenza
Ok, abbiamo aggiornato l’articolo alla luce dei chiarimenti con gli addetti alla segnaletica. Grazie per la segnalazione!
Ora che ha avete apportato gli aggiornamenti, posso dire che questo piano traffico è una ciofeca, altro che soluzione migliorativa…. Chi viene da corso Tukory e vuole salire da via Basile deve andare a girare da piazza Indipendenza?!?!? Queste mostruosità si partoriscono sol perchè non si realizza una rotatoria da quatto soldi…. Semplicemente vergognoso.
Ben detto, non cambia nulla. Prima il disagio era per chi da piazza indipendenza doveva raggiungere corso Tukory. Adesso, come sempre, si è solo spostato il problema a chi da corso Tukory deve raggiungere via Basile.
Unica soluzione per questo tratto di strada è ovviamente, come detto da molti, creare una rotatoria, nell’incrocio corso re ruggero/tukory/via lodato/basile ma anche e soprattutto rimodulare corso re ruggero creando (lato valle) una nuova corsia (vi è lo spazio sufficiente). Tutte queste soluzioni che hanno provato negli ultimi anni sono tutti palliativi che non hanno risolto nè mai risolveranno mai il problema!
Invece che allontanare alla svelta i flussi di traffico con percorsi brevi e lineari, cosa si fa? Si fanno infognare tutti i veicoli provenienti da Corso Tukory (e sono molti, signori miei, sono molti) in quell’autentico postribolo di traffico che è piazza Indipendenza! Piuttosto che alleggerire piazza Indipendenza, che, ripeto, è un postribolo di traffico, si carica ancora di più. E quando, un giorno sì e l’altro pure, ci sarà uno sciopero davanti Palazzo d’Orleans cosa succederà? Mi piacerebbe sapere chi sono i signori autori di questo nuovo piano traffico… chi sono?
Io direi che è meglio vedere il lampo prima di sentire il tuono. Hanno fatto bene a lasciare la fermata di fronte la chiesa in via Basile, ora viene utile., inoltre finisce il posteggio dei pullman extraurbani di fronte.
Credo ci sia un rerrore nell’all1 quello che fa vedere il corso Alberto Amedeo, c’è da invertire una freccia proprio nella salita.
Provvedimento agghiacciante.
Ma veramente il comune non ha alcun tipo di competenza e non è in grado di risolvere un bel nulla? Dopo tutti questi cambi pare proprio di sì.
Cioè sembra progettato da chi non ha mai messo piede a piazza indipendenza in orario di punta.
Partiamo dal fatto che la suddetta piazza è un tappo allucinante già così, vogliamo aggiungerci pure il traffico proveniente da corso Tukory? Un genio chi ha pensato una cosa del genere.
Andiamo alla corsia bus contromano, forse a qualcuno è sfuggito che presso la fermata Basile – Re Ruggero transita in media un bus ogni 5 minuti, per non parlare che nello stesso punto c’è la fermata delle autolinee extraurbane. Prima le auto potevano superare i bus tramite corsia di sinistra, adesso o assisteremo a continue infrazioni finché non ci scappa il morto per incidente frontale, oppure si paralizzerà completamente il traffico.
Tutto questo a prima lettura, sicuramente ci saranno almeno altre mille cose che non vanno. Tutto questo per cosa? Per non realizzare una maxi rotonda.
Provvedimenti miopi e miseri. Senza dubbio non sono provvedimenti degni di una GRANDE CITTA’. La rotonda? Le cose più ovvie a Palermo non si realizzano.
Continuate a invocare a gran voce una rotonda quando sapete benissimo che i palermitani delle rotonde se ne fregano altamente. Ma ci siete o ci fate?
Ma stai scherzando? Che significa se ne fregano altamente? Possono non rispettare lo stop, ma non è che tirano dritto distruggendola…
Il tuo discorso è assolutamente inappropriato in questo contesto, perché non stiamo parlando delle abitudini di guida.
La rivoluzione è stata abortita. Nei giorni scorsi erano state collocate delle ringhiere di plastica pronte ad essere tolte per aprire al traffico i nuovi sensi di marcia. Oggi ripassando da lì ho trovato ricollocato al suo posto il massiccio new jersey in cemento allo sbocco di via Re Ruggero, piazzato in modo da lasciare in essere gli attuali sensi di marcia.
Purtroppo non è stato abortito niente. Il vero aborto sono i risultati di questi provvedimenti aberranti. Oggi davanti al Palazzo della Regione e lungo corso Re Ruggero il caos per tutta la mattinata è stato a dir poco infernale. Piazza Indipendenza, che già era un postribolo di traffico, è diventata una casa d’appuntamenti per il traffico. Tutti sono costretti a darsi appuntamento lì per incrementare l’inferno. Tutti devono andarci per forza, nolenti o volenti. L’illogicità continua a governare la mobilità palermitana.